Smart Safety Solutions, Smart Roundabout

Menu Design

Ingolstadt – Fallstudie, Analyse, Schlussfolgerungen, Lösungen

UPDATE 3

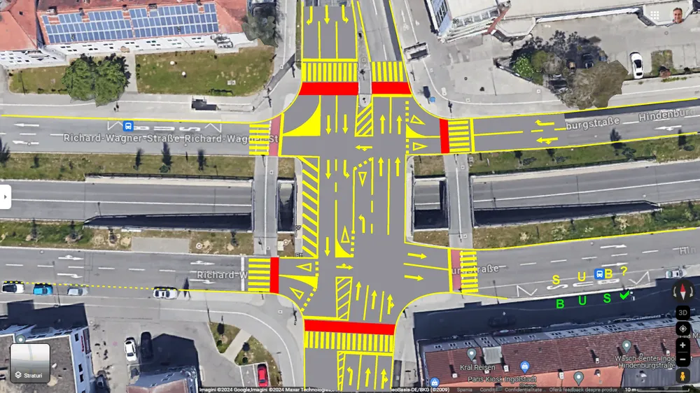
Kreuzung Ettinger Straße/Hindenburgstraße

Deutsche Übersetzung von ChatGPT.

Die Webseite der Stadtverwaltung Ingolstadt informiert uns, dass die Kreuzung Ettinger Straße/Hindenburgstraße hinsichtlich der Anzahl der Verkehrsunfälle die dreithäufigste in Ingolstadt ist.

Ja, dies ist möglich aufgrund der verwirrenden, widersprüchlichen Straßenschilderung, die das Verständnis für viele Fahrer erschwert, und die Ergebnisse spiegeln sich auch in den Statistiken wider.

Es ist großartig, dass die Stadtverwaltung den Bau eines unterirdischen Straßendurchgangs, die beste Lösung zur Verkehrsentlastung, gewählt hat, jedoch ist die ebenerdige Kreuzung mangelhaft, die Straßenschilderung lässt zu wünschen übrig. Für diejenigen, die aus dem Norden, von der Ettinger Straße, kommen, ist die Markierung mit der „Vorfahrt gewähren“-Linie zu weit von der geometrischen Kreuzung mit der Richard Wagner/Hindenburgstraße entfernt.

Auch hier sehe ich, dass es für diejenigen, die aus dem Norden von der Ettinger Straße kommen und weiter nach Süden auf der Ettinger Straße fahren wollen, zu einem großen Konflikt kommen wird.

Welches der beiden Fahrzeuge wird seine Fahrt fortsetzen? Das rote oder das blaue? Nicht einmal künstliche Intelligenz würde in dieser Situation zurechtkommen. Die Zukunft der autonomen Fahrzeuge scheint gefährdet.

Wenn die beiden Fahrer höflich sind, wird es zwar keinen Unfall geben, aber die Stopps an diesem Punkt werden zu langen Wartezeiten für die nachfolgenden Fahrzeuge führen, und das macht die Kreuzung weniger flüssig. Der Trichtereffekt muss vermieden werden, wenn wir eine flüssige Verkehrsführung wollen.

Über die Zebrastreifen habe ich schon gesprochen, also werde ich keine Erklärungen bezüglich der Markierung oder der Platzierung – direkt an der Ecke der Kreuzung – wiederholen.

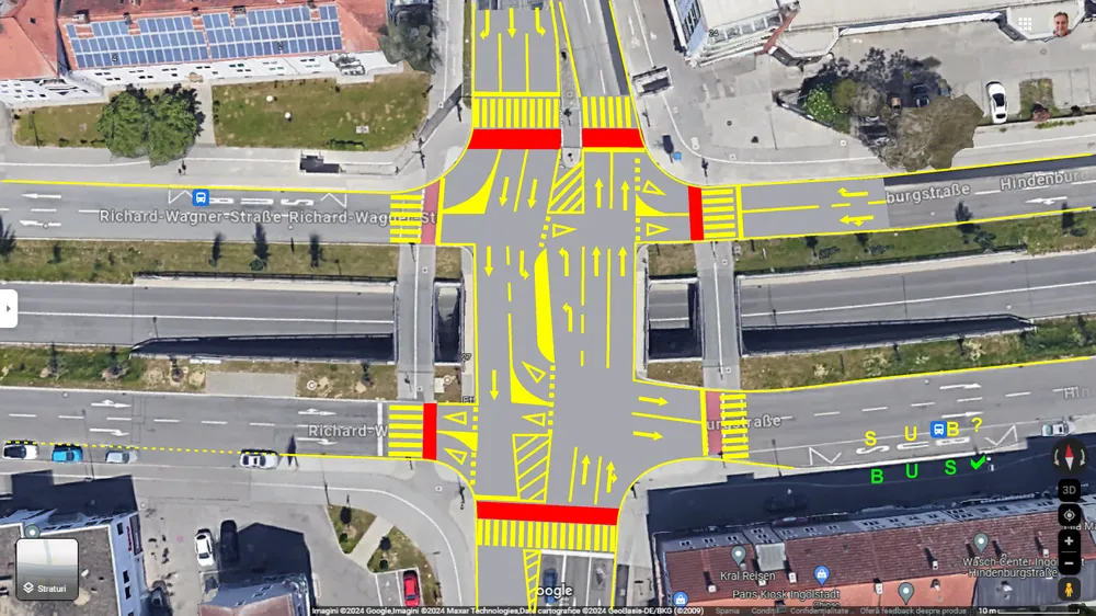
Die einfachste Lösung zur Optimierung dieser Kreuzung besteht darin, die Fahrspuren ohne Konflikte neu zu konfigurieren. Daher habe ich im beigefügten Bild die Spur 1 von der Ettinger Straße in Nord-Süd-Richtung auf der Ettingerstraßebrücke entfernt und die richtigen Markierungen gesetzt.

Das Bild in hoher Auflösung hier

Es gibt jedoch auch andere Gestaltungsmöglichkeiten der Markierungen, die die Verständlichkeit für die Fahrer vereinfachen und das Sicherheits- und Verkehrsflussniveau erhöhen könnten.

Diese Gestaltung ist ebenfalls viel besser als die derzeitige, und auch wenn es für einige wenig sinnvoll erscheint, auf eine Fahrspur zu verzichten, beseitigt diese Lösung Konflikte und jeder Fahrer, sei es Anwohner oder Tourist, wird in einem Bruchteil einer Sekunde verstehen, welcher Weg zu nehmen ist.

Das Bild in hoher Auflösung hier

Oder so.

Das Bild in hoher Auflösung hier.

Ich konnte nicht herausfinden, welche Verkehrsrichtung die höchsten Werte erzeugt, daher könnte diese Gestaltung einen besseren Fluss gewährleisten, falls es größere Verkehrsströme von der Ettinger Straße Nord zur Hindenburgstraße gibt.

Das Bild in hoher Auflösung hier.

Oder dieses.

Das Bild in hoher Auflösung hier

Achtung: Die Vorfahrt für Fahrzeuge, die von links kommen, ist immer die richtige Lösung für Länder, in denen der Verkehr auf der rechten Straßenseite verläuft.

Ich erwähnte, dass die „Vorfahrt gewähren“-Linie für diejenigen, die aus dem Norden von der Ettinger Straße kommen, zu weit von der geometrischen Kreuzung mit der Richard Straße entfernt ist.

Nun, Markierungen oder Verkehrsschilder, die an ungeeigneten Stellen platziert sind, können bei den Fahrern Verwirrung stiften.

Verwirrung bedeutet schlechte Kommunikation und führt zu Unfällen!

Nun, bei der Analyse der Kreuzung bin ich runtergegangen auf die Straße, wo ich dieses Toyota-Auto identifiziert habe, das sich an der Kreuzung Richard Wagner Straße mit Ettinger Straße befindet, links auf die Ettingerstraßebrücke abbiegen und dann links auf die andere Richtung der Richard Wagner Straße nach Westen abbiegen möchte.

Aufgrund der falsch platzierten Markierung biegt der Fahrer dieses Toyota (1 und 2) links in den Gegenverkehr (3) auf die dritte Spur, oder die linke Spur für diejenigen von der Ettinger Straße (4), und am Ende biegt er links in die Richard Wagner Straße von der zweiten Spur im Gegenverkehr (5).

Wie groß sind die Chancen, dass ich in StreetView Beweise für die Argumente finde, die ich bereits vorgebracht habe?

Verfolgen Sie die Schritte in StreetView!

In der Zwischenzeit mache ich eine Pause und werde ein Lottoschein kaufen gehen.

Die Verkehrssignalisierung ist für mehr als 50% der Verkehrsunfälle verantwortlich, obwohl dies administrativ oder statistisch nicht anerkannt wird, da die Schuld lieber den Fahrern zugeschrieben wird. Nein, die Fahrer reagieren entsprechend, einige schneller, andere langsamer, einige verstehen etwas, andere etwas anderes.

Verkehrssignalisierung bedeutet Kommunikation. Kommunikation zwischen der Straßenverwaltung und den Verkehrsteilnehmern, Fahrern und Fußgängern sowie Kommunikation zwischen den Verkehrsteilnehmern selbst.

Der Straßenadministrator übermittelt durch Straßenmarkierungen und Verkehrsschilder installierte Nachrichten, die befolgt werden müssen, damit alle Verkehrsteilnehmer sicher und ohne Konflikte oder Risiken unterwegs sein können.

Mangelnde Kommunikation, fehlerhafte Kommunikation, widersprüchliche Kommunikation oder zu subtile Kommunikation führen oft zu Konflikten und Unfällen, da viele Verkehrsteilnehmer die Nachricht entweder nicht verstehen oder zu spät wahrnehmen, was einer fehlenden Kommunikation gleichkommt. Kommunikation muss fest, klar und leicht verständlich für jeden sein, unabhängig vom Bildungsniveau, individuellen Fähigkeiten, Reaktionsgeschwindigkeit, Aufmerksamkeitsgrad und Konzentration, die von Person zu Person variieren können und von psychologischen Faktoren wie Stimmung, familiären, sozialen oder beruflichen Problemen sowie natürlichen Faktoren wie Wetter, Klima oder Tageszeit beeinflusst werden können.

Die Verkehrssignalisierung muss den menschlichen Faktor berücksichtigen, denn der Mensch ist nicht perfekt, wir alle machen Fehler, und durch korrekte Verkehrssignalisierung sollten wir in der Lage sein, menschliche Fehler zu eliminieren.

Wenn die Signale korrekt sind, werden wir die Pflichten und Absichten anderer Straßennutzer kennen und entsprechend handeln, um den Verkehr harmonisch und ohne Risiken und Unfälle zu ermöglichen.

Ich würde mich freuen, wenn Sie die vorgeschlagenen Lösungen umsetzen, denn letztlich werden sie sich als Vorbild für Bayern erweisen und später für ganz Deutschland.

Das vorherige Update 2Kreuzung Münchener Straße/Klein-Salvator-Straße

Nächstes Update 4: Kreuzung Nürnberger Straße/Theodor-Heuss Straße

Scroll to Top